
30 000 €
30 000 €
| Дополнительные расходы по сделке | |
|---|---|
| Не включены в стоимость продажи |
Возможна дистанционная сделка без Вашего присутствия по доверенности, расчета в любой валюте, в том числе и в рублях в России
За все три участка 90.000 евро!!!
Участки под строительство коттеджей на собственном берегу озера Saimaa:
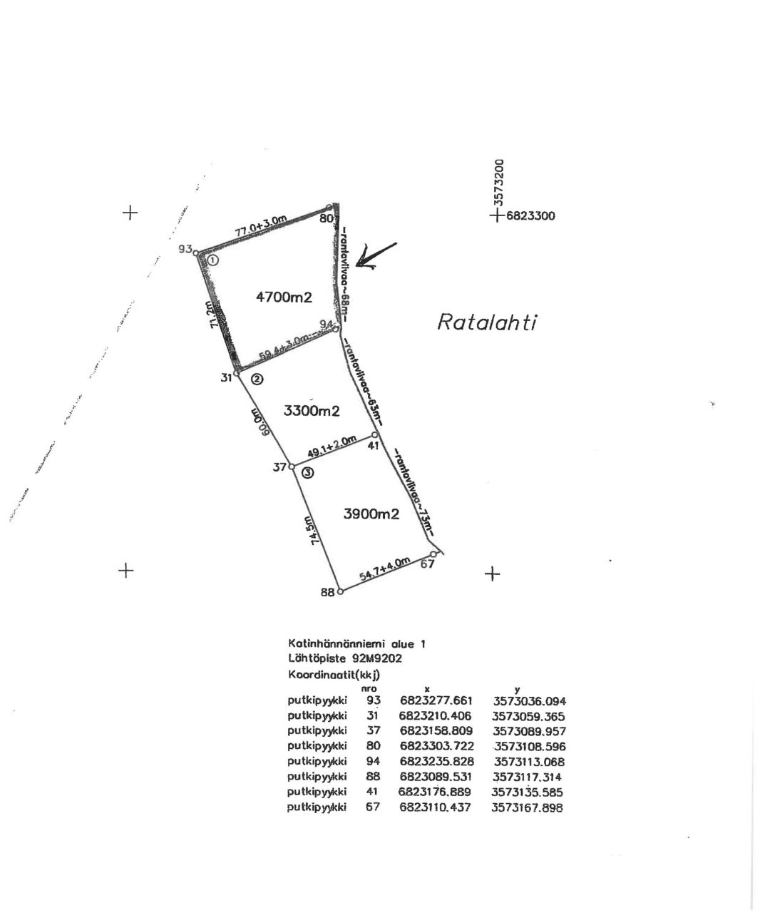
1. Участок под строительство коттеджа на берегу озера – 42.000 евро!
Номер участка 623-445-13-247
Муниципалитет: Puumala
Водный регион: Saimaa
Площадь участка: 4.700 м2
Межевание: произведено в 2008 году
Разрешённая площадь застройки: 150 м2
Количество разрешенных к постройке жилых строений (например коттедж, береговая сауна): 2
Береговая линия 68,0 м
Права на общие водные районы: да, указаны в Выписке из Регистра недвижимости
Подъездная дорога: до границы участка
Обслуживание дороги и чистка снега:
от Muuramäentie до поворота на участок, Tuomaanniementie: обслуживается дорожным кооперативом
от Tuomaanniementie на участок и до границы с участком: самостоятельно заключенный договор
Электричество: до границы участка
Договор на подключение электричества: будет заключен после начала эксплуатации
Муниципальная канализация: нет, при строительстве необходимо построить локальный септик и поле рассеивания
Муниципальное водоснабжение: нет, при строительстве необходимо бурение скважины
2. Участок под строительство коттеджа на берегу озера – 30.000 евро!
Номер участка 623-445-13-252
Муниципалитет: Puumala
Водный регион: Saimaa
Площадь участка: 3.330 м2
Межевание: произведено в 2008 году
Разрешённая площадь застройки: 150 м2
Количество разрешенных к постройке жилых строений (например коттедж, береговая сауна): 2
Береговая линия 63,0 м
Права на общие водные районы: да, указаны в Выписке из Регистра недвижимости
Подъездная дорога: до границы участка
Обслуживание дороги и чистка снега:
от Muuramäentie до поворота на участок, Tuomaanniementie: обслуживается дорожным кооперативом
от Tuomaanniementie на участок и до границы с участком: самостоятельно заключенный договор
Электричество: до границы участка
Договор на подключение электричества: будет заключен после начала эксплуатации
Муниципальная канализация: нет, при строительстве необходимо построить локальный септик и поле рассеивания
Муниципальное водоснабжение: нет, при строительстве необходимо бурение скважины
3. Участок под строительство коттеджа на берегу озера – 35.000 евро!
Номер участка 623-445-13-253
Муниципалитет: Puumala
Водный регион: Saimaa
Площадь участка: 3.920 м2
Межевание: произведено в 2008 году
Разрешённая площадь застройки: 150 м2
Количество разрешенных к постройке жилых строений (например коттедж, береговая сауна): 2
Береговая линия 73,0 м
Права на общие водные районы: да, указаны в Выписке из Регистра недвижимости
Подъездная дорога: до границы участка
Обслуживание дороги и чистка снега:
от Muuramäentie до поворота на участок, Tuomaanniementie: обслуживается дорожным кооперативом
от Tuomaanniementie на участок и до границы с участком: самостоятельно заключенный договор
Электричество: до границы участка
Договор на подключение электричества: будет заключен после начала эксплуатации
Муниципальная канализация: нет, при строительстве необходимо построить локальный септик и поле рассеивания
Муниципальное водоснабжение: нет, при строительстве необходимо бурение скважины
Муниципальные услуги:
Магазины, кафе, услуги развлечения, Puumala
на машине 21 км, 24 минуты
по воде 9 км
Аэропорт Helsinki-Vantaa 313 км, 3 ч 38 минут
Аэропорт Lappeenranta 95 км, 1 ч 20 минут
Шопинг, услуги Mikkeli 91 км, 1 ч 21 минут
Шопинг, услуги Imatra 53 км, 54 минуты
Шопинг, услуги Lappeenranta 95 км, 1 ч 20 минут
Горнолыжный спуск Freeski, Ruokolahti 47 км, 47 минут
Горнолыжный спуск Myllymäki, Lappeenranta 80 км, 1 ч 11 минут
Imatran golf 52 км, 50 минут
Viipurin golf, Lappeenranta 95 км, 1 ч 19 минут
Mikkelin Golf, Mikkeli 95 км, 1 ч 23 минут
Всемирно известный геологический памятник Kummakivi 9 км, 15 минут
Средневековая крепость Olavinlinna 98 км, 1 ч 27 минут
Консультации, просмотры и полное переоформление под ключ без комиссии для покупателя!!!
Эксклюзивное право продажи данного объекта имеется только у нашей компании.
Агентство имеет лицензию № 2013/PU1026A на право ведения риэлторской деятельности на территории всей страны и государственный сертификат самой надежной компании и доверия. Мы осуществляем юридическое сопровождение и полный комплекс услуг в течение всего процесса купли-продажи объекта недвижимости, начиная с выбора нужного варианта и заканчивая регистрацией с дальнейшим обслуживанием. Нам доступна вся база Финской недвижимости и мы подберем для Вас нужный объект.
ОКАЗЫВАЕМ ПОМОЩЬ В ОФОРМЛЕНИИ ПОЛНОГО КОМПЛЕКТА ДОКУМЕНТОВ ДЛЯ ПОДАЧИ НА ВНЖ НА ОСНОВАНИИ БИЗНЕС-ИММИГРАЦИИ, БИЗНЕС-КОНСАЛТИНГ, ЮРИДИЧЕСКИЕ И НАЛОГОВЫЕ КОНСУЛЬТАЦИИ.
ПОКУПКА И НАЛИЧИЕ ОБЪЕКТОВ ЖИЛОЙ НЕДВИЖИМОСТИ НЕ ДАЕТ
ПРАВА НА ПОЛУЧЕНИЕ ВНЖ В ФИНЛЯНДИИ!